TEZCAN KARAKUŞ CANDAN
Müze Gazhane’den, Maltepe Havagazı Fabrikası’na bin umut
TEZCAN KARAKUŞ CANDAN
Bir kentin geleceği nasıl çalınır, ya da kentsel mekan üzerinden bir değer yeniden nasıl yaratılır. Mekan üzerinden okumanın ya da karşılaştırmanın iki örneği Hasanpaşa Gazhanesi ve Ankara Maltepe Havagazı yerleşkesi. Kurbağılıdere ve Kadıköy Gazhanesi olarak da bilinen Hasanpaşa Gazhanesi İstanbul’un son gazhanesi, Maltepe Havagazı Fabrikası ise Cumhuriyet’in başkenti Ankara’nın ve Cumhuriyet’in ilk elektrik ve havagazı fabrikasıydı.
Havagazı ilk olarak 18. yüzyılın sonunda Belçikalı eczacı Jan Pieter Minckelers tarafından elde edilmiştir. Maden kömüründen elde edilen ısıtma ve ve aydınlatma için kullanılan havagazının üretildiği ve depolandığı tesisler olan gazhaneler birçok ülkede inşa edildi. Hasanpaşa Gazhanesi, 1856 Dolmabahçe Gazhanesi, 1865 Nakkaştepe Gazhanesi,1880 Yedikule Gazhanesi'nden sonra 1887 yılında Anadolu yakasının gaz ihtiyacını karşılamak için Fransız ve Alman mühendisler tarafından inşa edilen İstanbul’un son gazhanesiydi.
Hasanpaşa Gazhanesi 1892 yılında hizmet vermeye başladı. Osmanlı döneminin en önemli endüstri miraslarından birisiydi. Hasanpaşa Gazhanesi’nin işletme imtiyazı Fransızlardaydı. Cumhuriyet döneminde imtiyaz sözleşmesi yenilendi.1931 yılında imtiyazlar ve tesisler İstanbul Elektrik İdaresine satıldı. Gazhane, İstanbul Elektrik idaresinin millileştirilmesi ardından sonra devlet tarafından satın alındı. Gazhane 1945’te İETT’ye bağlandı.
1948 -1957 yılları arasında Gazhane’ye yeni fırınlar eklendi. Teknolojinin gelişmesi ile birlikte 1993 yılında Gazhane’de üretim sonlandırıldı ve kapatıldı. 1994 yılında semt sakinleri tarafından kurulan Gazhane Çevre Gönüllüleri kamusal kullanımı için yürüttüğü mücadele desteği ile 1996 yılında endüstri yapısı olarak Kültür Bakanlığı tarafından koruma altına alındı. Koruma altında iken İETT tarafından yıkımına başlanan gazhanenin yıkımı yasal süreçlerle durdurulmuş ve yeniden işlevlendirilmesi için koruma kurulu karar almıştır. İstanbul Büyükşehir Belediyesi tarafından 2015 yılında yeniden işlevlendirme süreci başlatılan Hasanpaşa Gazhanesi’nin restorasyon süreci 2017 yılında Mimarlık tarihçisi Prof Dr. Afife Batur ve ekibindeki hocaların desteğiyle yürütüldü. Hasanpaşa Gazhanesi kültür ve sanat odaklı bir yaşam alanı olarak 2021 yılında İstanbul Büyükşehir Belediyesi tarafından restorasyonu tamamlandı ve Müze Gazhane olarak hizmete açıldı.

Hafta sonu İstanbul’da Müze Gazhane’deydik. Osmanlı döneminde yapılan ve Cumhuriyet döneminde geliştirilen endüstri yapısının yaşam yerleşkesi olmasına tanıklık ettik. Afife Batur Kütüphanesi, atölyeler, karikatür müzesi, tiyatro sahnesi, sergi salonları, bilim merkezi, etkinlik alanları ile endüstri yapısının korunarak yeniden işlevlendirilmesi, istendiğinde nasılda yapılabileceğinin örneklerinden biriydi. Ancak bu tanıklık biz Ankaralılar için öfke ile karışık ve buruktu aynı zamanda.
Müze Gazhane’de, Ankara’ya 23,5 yıl başkanlık yapan ve Ankara’nın geleceğini yok eden ve 100 yılına mal olan Gökçek’i sitemle andığımız anlardan birini daha yaşadık. 23.5 yıl boyunca Ankara’nın ömür törpüsü olan Gökçek, Ankara’nın ve Cumhuriyet‘in ilk ve tek Havagazı Fabrikası’nı zorun gücüyle, gece yarısı operasyonlarıyla, hukuku arkadan dolanarak yıktı. Mimarlar Odası Ankara Şubesi olarak bu zorbalığı durduramadıysak da, zorbalığın tarihe geçmesinin mücadelesini yürüterek, metal yorgunluğu teşhisiyle Gökçek’in görevden alınmasını sağlayan örgütlerin başında geldik.

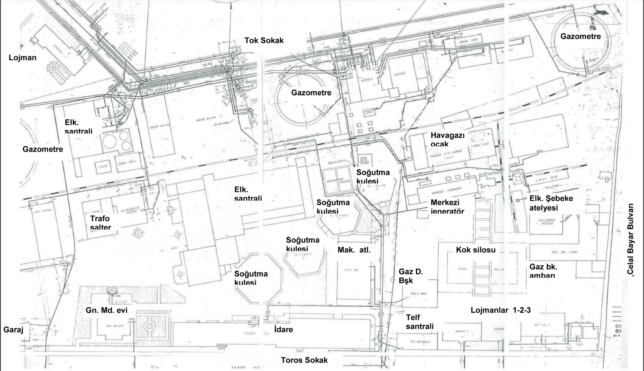
Maltepe Havagazı Fabrikası, Cumhuriyet’in ve Başkent’in ilk ve tek havagazı fabrikasıydı. 1928-1929 yılında Alman mimar Werner Issel tarafından Alman Aktien Elektrischen Gesellschaft firması tarafından tasarlandı. İlk kok kömürü ile çalışan elektrik ve havagazı üretim tesisiydi. Elektrik santrali, gazometreler, su kulesi, havagazı ocak dairesi, yakıt tankları, silo ve atölye yapıları ile bütünlüklü bir yerleşke olarak inşa edilmişti. Üretim tesislerinin yanı sıra, işçi konutları, lokanta ile birlikte 40’a yakın yapının bulunduğu yerleşke Alman, İngiliz ve Türk ustaların el birliği ile inşa edilen ender eserlerden birisiydi. Yerleşkedeki her yapı hem Cumhuriyet'in kuruluş yıllarına ve dönemin uluslararası ölçekte mimari üslubuna tanıklık etmiş, hem de yanındaki un fabrikası ve küçük sanayi yapıları ile birlikte, anıtsal görselliği ile kentin değişik noktalarından referans görevi gören simgesel objelere dönüşmüştü.
MÜCADELE SONUNDA TESCİLLENDİ
1928 yılından 1990 yılına kadar Ankara’ya hizmet eden Havagazı Fabrikası teknolojinin gelişmesi nedeniyle üretimi durdurulduktan sonra, Mimarlar Odası Ankara Şubesi’nin yürüttüğü mücadele sonunda 19.03.1991 tarihinde 1679 sayılı kararla korunması gereken kültür varlığı olarak tescillendi. Mülkiyet sahibi olan EGO Genel Müdürlüğü tescilin iptali için açtığı davayı kaybetti ve Danıştay 6.Dairesi 1996 yılında son noktayı koyarak Havagazı Fabrikası'nın kültür varlığı olarak tescillenmesini kesinleştirdi.
Maltepe Havagazı Fabrikası’nın yıkılarak yerine iş merkezi yapma fikrinden vazgeçmeyen Gökçek dönemi, 2002 yılında AKP’nin de iktidara gelmesiyle, rejimle hesaplaşmanın başkenti olan Ankara’da Cumhuriyet döneminin mekânsal tanıklarına yönelik yok etme politikasına hız verdi. 16.06.2006 yılında Ankara Kültür ve Tabiat Varlıklarını Koruma Kurulu, soğutma kulesi, vinç, havagazı deposu, raylar, pompa istasyonu ve elektrik santralinin bacalarının tescilini kaldırdı.Hukuksal süreçler devam ederken bilirkişi raporları lehimize gelirken, geç gelen adaletin adalet olmadığı bir kez de Maltepe Havagazı Fabrikası(nda yaşandı.
2006 yılı Haziran ayıydı, ‘Maltepe Havagazı Fabrikası’nda yıkım yapılıyor’ telefonu ile uyandık. Gece yarısı Havagazı Fabrikası’nın kapısındaydık. Çocukluğumda annemle Ulus’a alışverişe giderken, hep otobüsün sağ tarafına oturarak izlemekten zevk aldığım, Gazi Üniversitesi Mimarlık Fakültesi’nde okurken her okuldan çıktığım da karşımda olan kentsel kılavuzum olan yapıları yitirmenin hüznü, Mimarlar Odası Ankara Şubesi üyesi olarak kültür varlığını korumanın sorumluluğu ile olduğum o an, Müze Gazhane’de gözümün önünden film şeridi gibi geçti. Öfkelendim. Kapatıldığı günden bu yana Mimarlar Odası Ankara Şubesi, korunmasından yeniden işlevlendirilmesine kadar Maltepe Elektrik ve Havagazı Fabrikası mücadelesinden hiç vazgeçmedi.

Asbestli yapıları hurda karşılığı yıkılırken de, yapıların izleri hukuksuz bir şekilde hunharca yok edilirken de, hep müze gazhane gibi hayatımızın bir noktasında yer alacağı, yaşamımızın her anında yer bulması hayali hiç eksilmedi bizden. 2017 yılında yapılarının neredeyse tamamı yok edilmişken bile, oradaki izini sürmek için Ankara Tabip Odası ile açtığımız kent düşleri proje fikir üretimi kapsamında, Maltepe Havagazı Fabrikası’nın alanının yeniden yaşama katılması için açtığımız yarışma bu umudun ifadesiydi.
Maltepe Havagazı Fabrikası kent düşleri yarışmasında başkentin geleceğine dair mekansal umutlar bir kez daha ortaya koyuldu. O süreçte yerleşkedeki tüm yapıların projelerinin var olduğunu da öğrenmek umudumuzu büyüttü. Şimdi belki de, kent düşleri proje fikir yarışmasında elde ettiğimiz projelerle Maltepe Havagazı Fabrikası yerleşkesinin yeniden inşa edilmesi ve yeniden işlevlendirilmesi için Ankara Büyükşehir Belediyesi’ni göreve çağırmak anlamlı.
Gökçek dönemi başkentin 23.5 yılını değil, 100 yılını yok edecek yıkımları ile rejimle hesaplaşmanın mekanlar üzerinden temsiline, Ankara’da yüksek yoğunluklu bir savaşa sahne olmuştur. Ankara’nın geleceği çalınmıştır. Başkentin yaralarını sarmak, Orta Avrupa’da savaşın yok ettiği kentlerin inşası gibi yeniden inşa etmek sorumluluğunu sahiplenmek ve Gökçek’in başkente karşı işlenen suçlardan yargılanması için mücadelemiz umudumuz.
İstanbul ve İzmir’de Osmanlı döneminin endüstri mirası Gazhaneler korunup yeniden işlevlendirilirken, Ülkemizin bağımsızlık savaşından sonra başkent yapılan Ankara’da başlatılan sanayi hamleleri kapsamında 20. yüzyıl başında kurulan Elektrik ve Havagazı Fabrikasının yıkıntılarının arasından rekonstrüksiyonun yapılması Cumhuriyet’in ve başketin 100. yılında, bir başkentin yeniden doğuşunun hikâyesi olacaktır.
Gelecek hırsızlarına karşı, geleceğimizi yeniden inşa etme kararlığıyla… Müze Gazhane’den Maltepe Havagazı Fabrikası’na bin umut büyütmeye davetlisiniz.
Bir kenti nefessiz bırakmak: Kıbrıs Vadisi’ne rant kuşatması
18/05/2026 00:10Bir suç mahalli olarak "rantyolu"na çevrilen Çayyolu
11/05/2026 00:16101. Yılında Atatürk Orman Çiftliği ve bilançosu
04/05/2026 02:24Şeker Mahallesi’nde 'Yüksek' ihtiras: Etimesgut Belediyesi’nin direnci
27 Nisan 2026 Pazartesi 00:01Çoğunluğun kararı, azınlığın hafızası: Haydar Apartmanı’na erken veda
20 Nisan 2026 Pazartesi 00:01Zamanın büküldüğü yerde mekânın dilsiz tanıklığı: Köy Enstitüleri
13 Nisan 2026 Pazartesi 06:45“Allah’ın dağında” duvarlara sinmiş akademi: Üniversite Apartmanı
06 Nisan 2026 Pazartesi 00:20Kumaşa işlenen ışık: Ertuğ Pasajı’nda Zeki Müren’in payet ustası
30 Mart 2026 Pazartesi 00:15Ankara’da bir mikrokozmos: Mutlu Apartmanı
23 Mart 2026 Pazartesi 00:10Kumaşın mimarları: Ankara pasajlarında terzilerin suskun makasları
16 Mart 2026 Pazartesi 00:01